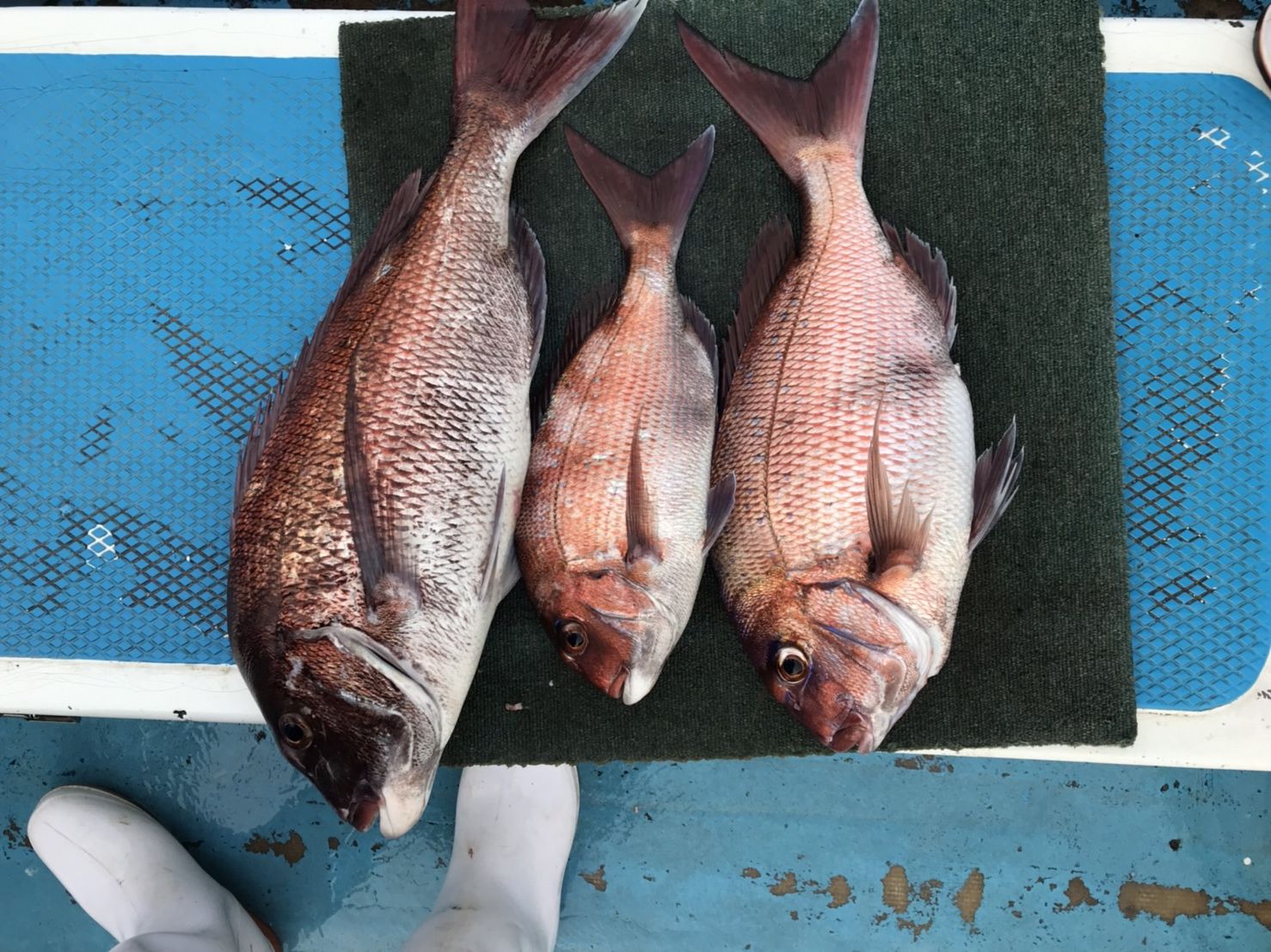
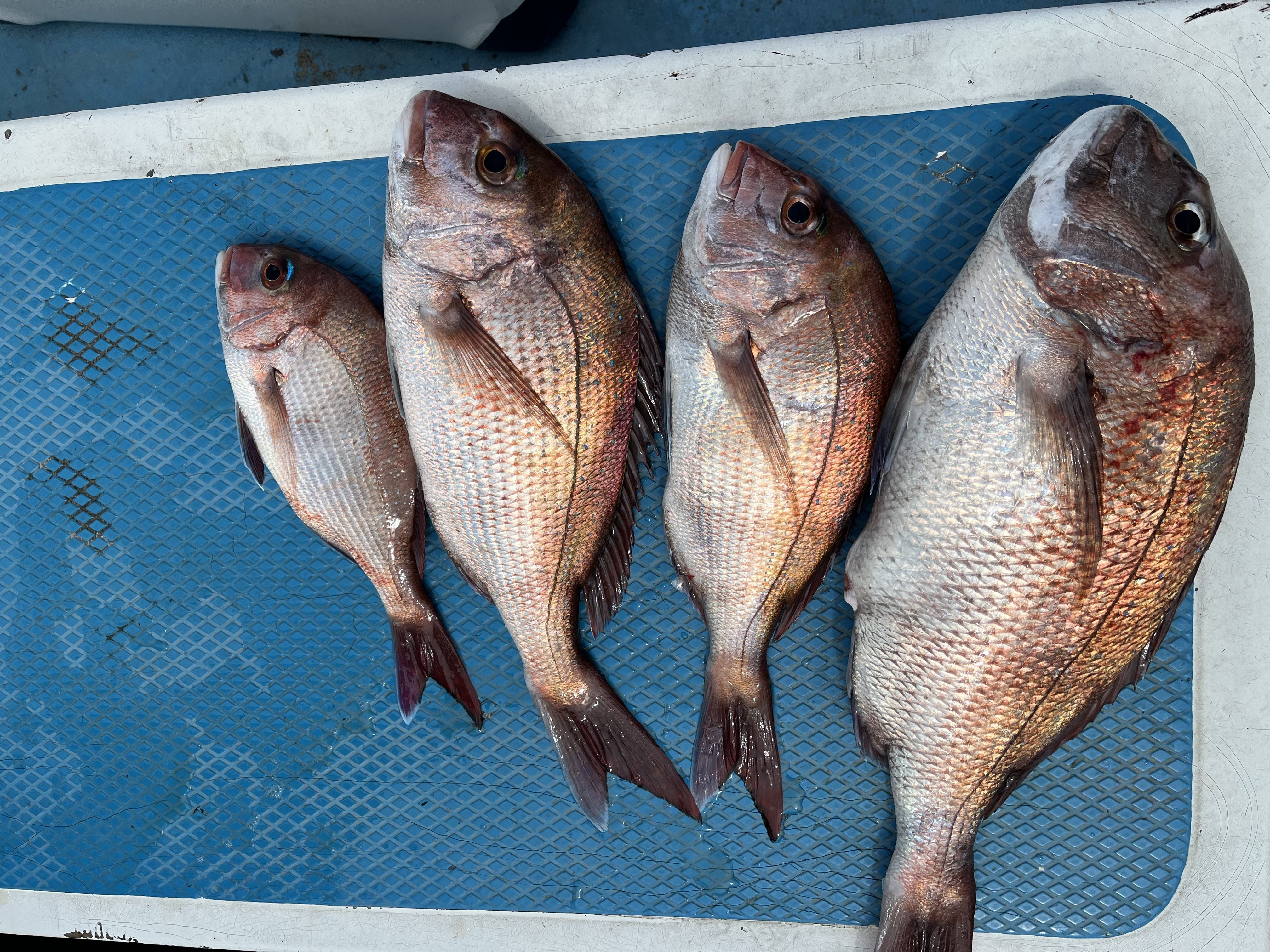
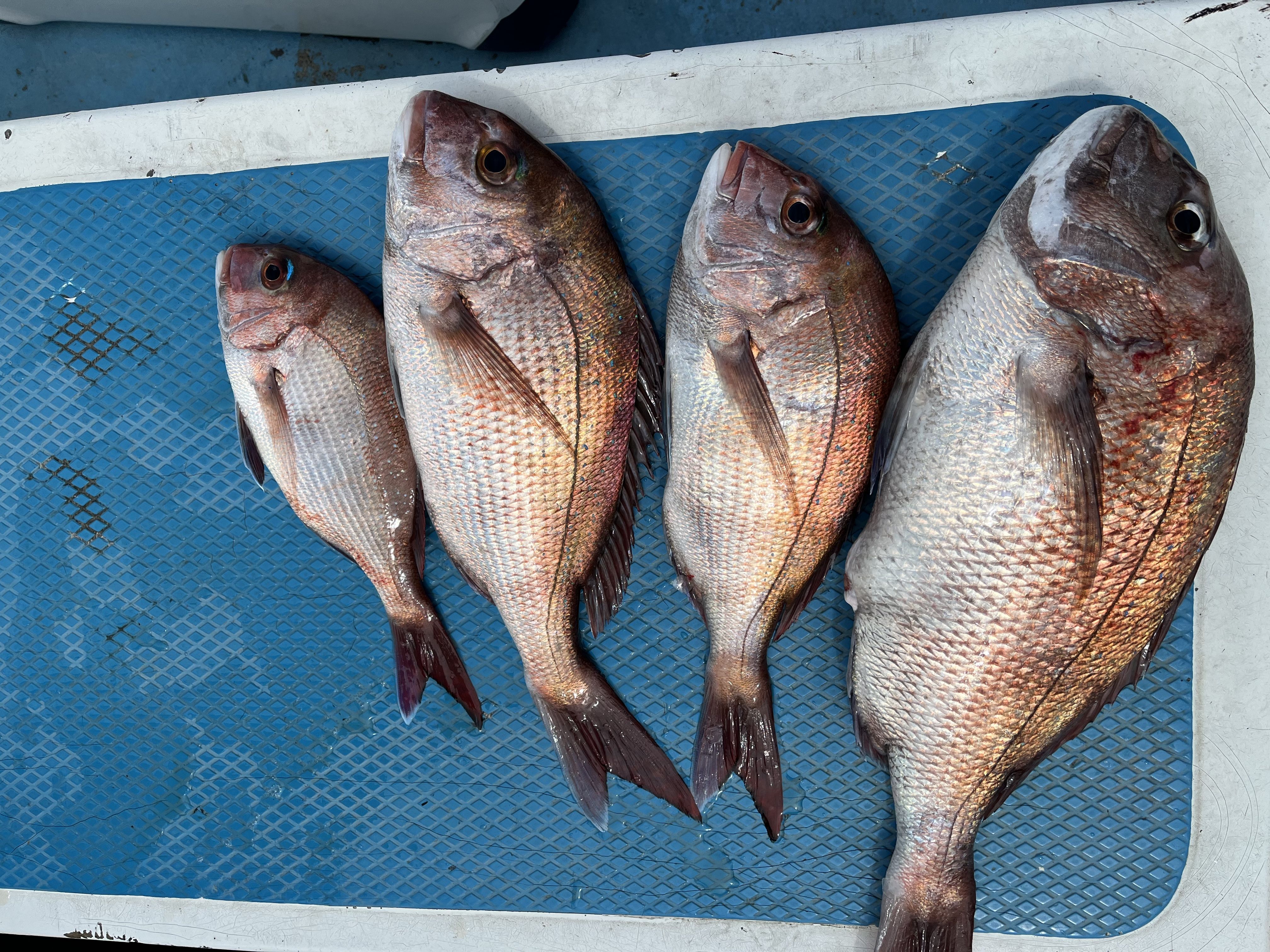
新店丸(神奈川県:三浦半島:毘沙門)のフォトアルバム
Toggle main menu visibility
メニュー
三浦・毘沙門 新店丸の最新情報
履歴情報
2026/01/23
2026/01/22
2026/01/19
2026/01/17
2026/01/14
2026/01/13
2026/01/12
フォトアルバム
船の紹介
サービス券
仕立(貸切)乗船名簿
船長とスタッフのつボヤキ
船宿ホームページ
法令に基づく業務規程
関東沖釣り情報
検索
最新沖釣り情報検索(キーワード指定)
釣果検索(船宿指定)
釣果検索(地区・魚種指定)
募集案内
参加船宿募集
広告掲載案内
イベント協賛案内
船長と釣人のレシピ
[ 三浦・毘沙門 新店丸 ]
フォトアルバム
前へ
1
2
3
次へ
当サイトの各コンテンツのすべてのデータは著作権法によって保護されており、無断で転用、転載、複製することはできません。リンク等をご希望の方は必ず当社にご連絡下さい。
株式会社ネクスト ( 関東沖釣り情報係り )
Tel: 045-663-4666